中央区入野町 売地
- 物件価格
- 1,450万円
- 所在地
- 浜松市中央区入野町 中央区入野町 売地
- 交通
- 東海道本線「高塚」 徒歩22分
- 最寄バス停
- –
- 学校区
- 浜松市立入野小学校
浜松市立入野中学校
※学校区は住所から自動判定したものであり、保証できる情報ではございません。正確な学校区はお問い合わせ下さい。
- 物件更新日:
- 2026年01月14日
この物件のお支払い例
頭金0円/ボーナス払い0円
価格1,450万円
月々のお支払い38,280円
※上記支払例の借入条件:金利0.45%、借入総額1,450万円、借入期間35年
セールスポイント
■日当たり良好な「南東角地」 ■建築条件なし ■更地引渡し ■コンビニやドラックストアが近く便利な立地 ■お好きなハウスメーカーをご利用可能可能 ■入野小・中学校エリア
「人型アイコン」を地図上にドラッグすることで『Google Street View』に切り替わります。
※地図上の「対象地」は「〒432-8061 静岡県浜松市西区入野町」の場所を指しています。実際の場所ではない場合がございます。詳しくはお問い合わせください。
物件概要
| 種目 | 売地 | ||
|---|---|---|---|
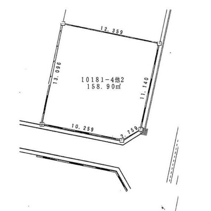
| 土地面積 | 158.9㎡ | 私道面積 | |
| 建ぺい率/容積率 | 60%/200% | 都市計画 | 市街化調整区域 |
| 接道状況 | 南4m 公道 接面10.4m 東4.5m 公道 接面11m 角地 | ||
| 地目 | その他 | ||
| 土地権利 | 所有権 | 地勢 | |
| 用途地域 | 無指定 | ||
| 現況 | 更地 | 取引態様 | 媒介 |
取引条件等
| 引渡し | 即時 |
|---|
その他
| 条件等 | |||
|---|---|---|---|
| 設備 | プロパンガス、下水道 | ||
| 諸条件・相談 | |||
| 情報登録日 | 2024年7月24日 | 情報更新予定日 | 2026年1月28日 |
| 物件番号 | 2404439-1 | ||
| 備考・制限等 | 法令等制限:既存宅地 地目:池沼 | ||
この物件の取扱店舗
-

家デパ浜松店
〒430-0856
静岡県浜松市中央区中島1丁目35番20号
- TEL:053-401-6610

