豊橋市西幸町字笠松 売地
- 物件価格
- 2,370万円
- 所在地
- 豊橋市西幸町字笠松 豊橋市西幸町字笠松 売地
- 交通
- 東海道本線「豊橋」
- 最寄バス停
- 「西幸」 徒歩5分
- 学校区
- 幸小学校
高師台中学校
※学校区は住所から自動判定したものであり、保証できる情報ではございません。正確な学校区はお問い合わせ下さい。
- 物件更新日:
- 2026年05月26日
この物件のお支払い例
頭金0円/ボーナス払い0円
価格2,370万円
月々のお支払い62,568円
※上記支払例の借入条件:金利0.45%、借入総額2,370万円、借入期間35年
セールスポイント
■67坪超の「整形地」■開放感のある角地!■幸小学校が目の前!■建築条件はありません。■お好きなハウスメーカーでご検討いただけます!■主要道路から中に入った閑静な住宅地■買い物施設が徒歩圏内で生活便利
「人型アイコン」を地図上にドラッグすることで『Google Street View』に切り替わります。
※地図上の「対象地」は「〒441-8113 愛知県豊橋市西幸町笠松」の場所を指しています。実際の場所ではない場合がございます。詳しくはお問い合わせください。
物件概要
| 種目 | 売地 | ||
|---|---|---|---|
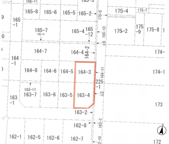
| 土地面積 | 223.45㎡ | 私道面積 | |
| 建ぺい率/容積率 | 60%/200% | 都市計画 | 市街化区域 |
| 接道状況 | 東7m 公道 接面20.2m 南5.4m 公道 接面11.1m 角地 | ||
| 地目 | 雑種地 | ||
| 土地権利 | 所有権 | 地勢 | |
| 用途地域 | 第一種中高層住居専用地域 | ||
| 現況 | 更地 | 取引態様 | 媒介 |
取引条件等
| 引渡し | 相談 |
|---|
その他
| 条件等 | |||
|---|---|---|---|
| 設備 | 都市ガス、下水道 | ||
| 諸条件・相談 | |||
| 情報登録日 | 2026年2月21日 | 情報更新予定日 | 2026年6月9日 |
| 物件番号 | 2601128-51 | ||
| 備考・制限等 | |||
この物件の取扱店舗
-

家デパ豊橋店
〒441-8052
愛知県豊橋市柱三番町136番地
- TEL:0532-39-4453
-

家デパ豊川店
〒442-0889
愛知県豊川市南大通3丁目28番地
- TEL:0533-56-7072
-

家デパ知立店
〒472-0038
愛知県知立市本町本40番地1 大豊栄ビル1階
- TEL:0566-91-3344



